What Do Runway Numbers Mean?
They're the same square footage of a New York City two-bedroom apartment: the runway designation markings. You've seen them before, a curious mix of numbers and letters. Painted on runways worldwide, here's how they work.

For simplicity, only a maximum of two numbers are painted on each end of the runway. Take runway 34R, as seen in the photo above. The magnetic heading of the runway is rounded to the nearest tenth of a degree and the third digit is dropped. (Ignore the R for now.) Here, the heading of the centerline could be 342 degrees and the runway will be labeled Runway 34.

On the compass above, find approximately 342 degrees. Round it to 340 and drop the zero. Extend a line outward from that notch away from the compass, and presto, you've drawn runway 34, jetting off to the North-Northwest. It's the direction from the approach to landing that is painted on the runway.
Any runway— say, runway 4 —could be oriented between 035 degrees and 045 degrees magnetic and still be named Runway 4, departing to the northeast. The giant numbers painted on the runway correspond to the direction the runway points, as indicated on a 360-degree compass. Simple enough. Importantly, this direction—the magnetic heading—is made in reference to magnetic north rather than geographic north (the north used on road maps, for example.) Aviation has long used compasses which require no power, only the earth's magnetic field. It makes sense then that runways and magnetic headings generally work hand in hand to this day.
A runway will be numbered at both ends, offering two potential directions from which airplanes may depart and land, as decided by Air Traffic Control, which is mindful of the wind and weather at the time. (More about the wind in a moment.)
As you might guess, the numbers are the reciprocals of each other. If there is a giant 19 painted on one end of the runway, there is a giant number 1 painted on the other side. (Just remember that you're facing outward from the compass.) In the US, our runways omit the leading zero for runway 01, which is not the case in much of the world. So, at London Heathrow (LHR) you'll spot runway 09L. In the US that would simply be Runway 9L, but each departs to the east.
Why do they face the way they do?
Which direction the runways are built is determined as a part of airport design, where the designers research the prevailing winds—the direction of wind generally speaking—specific to the area. Planes depart and land into the wind in order to maximize lift when taking off and drag while landing, and to minimize ground roll. Wind rushing over the wings provided by Mother Nature is free, unlike anything else in aviation.
Bigly numbers
The numbers painted on the runway are quite large. A single number is 63 feet tall by 20 feet wide in the US. The size is useful for situational awareness; knowing how large they are on the ground, because on every take off the plane rolls over the numbers, gives a good reference for landing and a visual indicator that you are indeed lined up on the assigned runway.

Oh Canada
Runway numbers change from time to time. This is because the geographic north pole is some 1,300 miles from magnetic north, which is in Northern Canada and marching off towards Russia at the rate of 30 miles per year, due to changes in the earth's molten iron core. It makes sense.
Because magnetic north is on the move, airports around the world have to change (infrequently) and repaint the numbers. Oakland (OAK) did this in 2013, and below is an image from an airport in Wales repainting their numbers from 08 to 07.

So putting this into practice...
Below, the pilot of a fictional American Airlines flight, AA139, has lined up on runway 31 at LGA waiting to depart. The pilot can look to the heading on his or her heads-up display or cockpit screen. The plane's heading will match the assigned runway and its heading.
An attentive reader will note that this runway at LGA could be numbered runway 31 or 32, as the runway is aligned with 315 degrees magnetic.

In spoken language, pilots and LaGuardia's Air Traffic Control Tower will call out each number individually when referencing the runway in use.
LGA Tower will radio:
"American One Three Niner, cleared for takeoff, runway three one."
One of the pilots on AA139 will read back this instruction in their best pilot's voice:
"Cleared for takeoff three one, American One Three Niner."
You'll note that the air traffic control and pilots don't say runway "thirty-one". This is to ensure clarity and safety. (i.e. "Wait, did they say thirty or thirteen?"). And, yes, they will say niner, to distinguish the word from nein in German.
Parallel operations
There are plenty of airports that have parallel runways, and therefore will have an additional identifier, such as L for left or R for right—or less commonly C for center. Van Nuys airport in California for example has runway 16R and 16L, parallel and separated by several hundred feet.
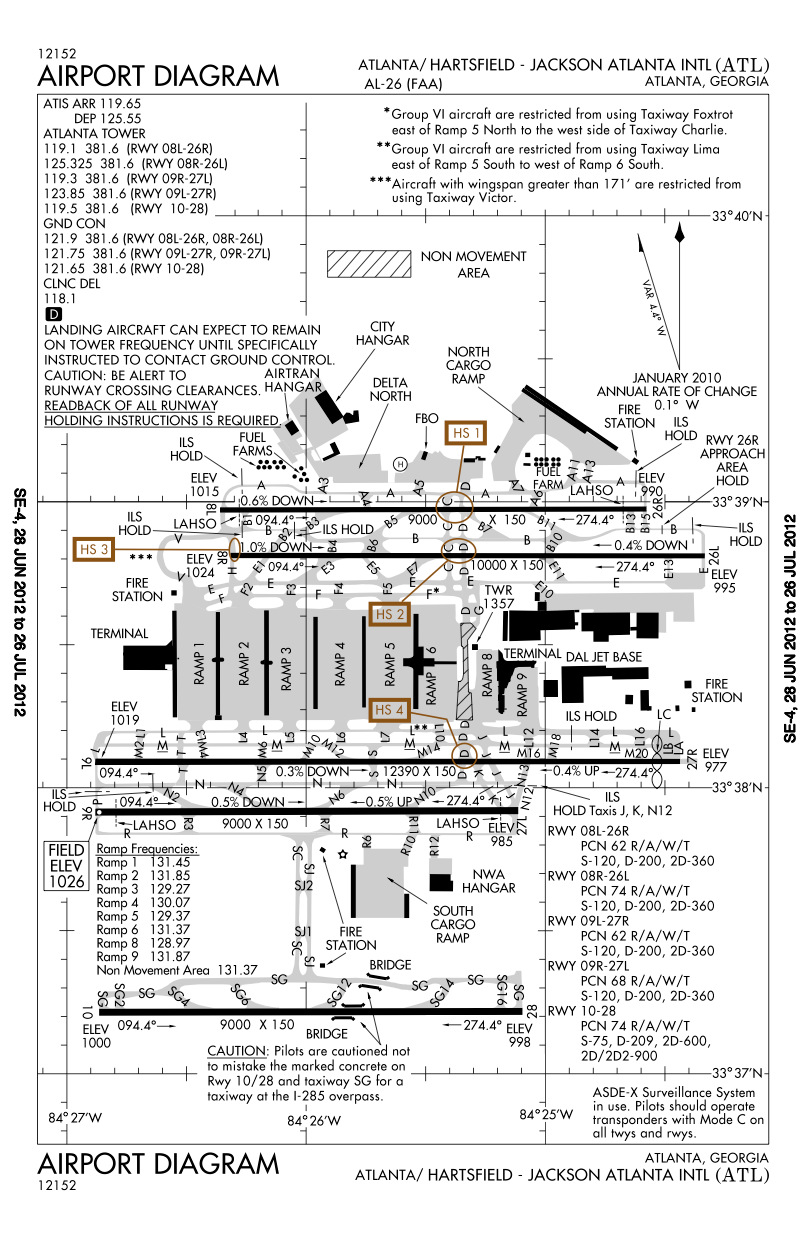
ATL provides an interesting example. Atlanta is the busiest airport in the world, and it has a whopping five parallel runways. In this case, there is a runway 26L and 26R, a runway 27L and 27R, and a runway 28. Each of these runways, however, is oriented to 274.4 degrees magnetic, but are given different runway designations to avoid confusion: they're simply separated by 10 degrees.

And avoiding confusion is really important, as pilots manage a busy workload while flying, and often in less than ideal weather. There are numerous instances of aircraft lining up with the incorrect runway on approach, or departing from the incorrect runway (and sometimes with disastrous consequences.)
Look for the red signs!
Runways are also indicated by illuminated signs on the ground, easily identified because they are white text on a red background. When your plane is taxiing to takeoff, look for them to know the direction you will depart. For example, this image snapped at New York's JFK airport tells us that the 747 is departing on runway 22R, therefore to the south-southwest. If it was taking off on the same runway but in the other direction, it would be using runway 4L. And, of course, there is a parallel runway 22L / 4R — a few hundred feet away. (The yellow letters on black background next to the runway sign indicate taxiways, but that's a story for another day.)

Keeping runway markings precise, and maintaining worldwide standards, is a safety-first approach.
Mike Arnot is the founder of Boarding Pass NYC, a New York-based travel brand, and a pilot.
TPG featured card
at American Express's secure site
Terms & restrictions apply. See rates & fees.
| 4X | Earn 4X Membership Rewards® points per dollar spent on purchases at restaurants worldwide, on up to $50,000 in purchases per calendar year, then 1X points for the rest of the year. |
| 4X | Earn 4X Membership Rewards® points per dollar spent at US supermarkets, on up to $25,000 in purchases per calendar year, then 1X points for the rest of the year. |
| 5X | New! Earn 5X Membership Rewards® points on prepaid hotel stays booked through AmexTravel.com or the Amex Travel App. |
| 3X | Earn 3X Membership Rewards® points on flights booked through AmexTravel.com, the Amex Travel App, or purchased directly from airlines. |
| 2X | Earn 2X Membership Rewards® points on prepaid car rentals booked through AmexTravel.com or the Amex Travel App and cruises booked and paid through AmexTravel.com. |
| 1X | Earn 1X Membership Rewards® point per dollar spent on all other eligible purchases. |
Pros
- Valuable dining and food-related credits
- Flexible rewards with airline and hotel transfer partners
- Multiple travel and purchase protections
- No foreign transaction fees
- Access to Amex Offers for additional savings (enrollment required)
Cons
- Not as useful for those living outside the U.S.
- Some may have trouble using Uber and other dining credits
- You may be eligible for as high as 100,000 Membership Rewards® Points after you spend $8,000 in eligible purchases on your new Card in your first 6 months of Card Membership. Welcome offers vary and you may not be eligible for an offer. Apply to know if you’re approved and find out your exact welcome offer amount – all with no credit score impact. If you’re approved and choose to accept the Card, your score may be impacted.
- Earn 4X Membership Rewards® points per dollar spent on purchases at restaurants worldwide, on up to $50,000 in purchases per calendar year, then 1X points for the rest of the year.
- Earn 4X Membership Rewards® points per dollar spent at US supermarkets, on up to $25,000 in purchases per calendar year, then 1X points for the rest of the year.
- New! Earn 5X Membership Rewards® points on prepaid hotel stays booked through AmexTravel.com or the Amex Travel App.
- Earn 3X Membership Rewards® points on flights booked through AmexTravel.com, the Amex Travel App, or purchased directly from airlines.
- Earn 2X Membership Rewards® points on prepaid car rentals booked through AmexTravel.com or the Amex Travel App and cruises booked and paid through AmexTravel.com.
- Earn 1X Membership Rewards® point per dollar spent on all other eligible purchases.
- Pay It® lets you tap in the American Express® App to quickly pay for small purchase amounts throughout the month and still earn rewards the way you usually do. Plan It® gives you the option to split up big purchases into equal monthly payments with a fixed fee. You’ll know upfront exactly how much you’ll pay.
- Updated! $120 Dining Credit: Earn up to a total of $10 in statement credits monthly when you pay with the Gold Card at Grubhub (including Seamless), Buffalo Wild Wings, Five Guys, The Cheesecake Factory, and Wonder. This can be an annual savings of up to $120. Enrollment required.
- $100 Resy Credit: Get up to $100 in statement credits each calendar year at over 10,000 qualifying U.S. Resy restaurants after you pay for eligible purchases with the American Express® Gold Card. That’s up to $50 in statement credits semi-annually. Enrollment required.
- $84 Dunkin' Credit: Earn up to $7 in monthly statement credits after you pay with the American Express® Gold Card at U.S. Dunkin’ locations. Enrollment required.
- $120 Uber Cash on Gold: Enjoy up to $120 in Uber Cash annually with your Gold Card. Just add your Card to your Uber account and you'll get $10 in Uber Cash each month to use on orders and rides in the U.S. when you select an Amex Card for your transaction.
- New! As an American Express® Gold Card Member, you can enjoy complimentary Hertz Five Star® Status. Enjoy benefits like skipping the counter at select locations, adding an additional driver at no additional cost*, and vehicle upgrades**. Benefit enrollment and Hertz Gold+ registration are required. *Additional drivers must meet standard rental qualifications and must be a spouse or domestic partner to qualify as complimentary. Other additional drivers subject to fees. **Benefits are subject to availability and vary by location. Additional Hertz program Terms and Conditions including age restrictions apply.
- Take advantage of a $100 credit towards eligible charges* at over 1,300 upscale hotels worldwide when you book The Hotel Collection through AmexTravel.com or the Amex Travel App **. *Eligible charges vary by property. **The Hotel Collection requires a two-night minimum stay.
- Book your travel through the Amex Travel App with added peace of mind – backed by American Express® service and support. Only for American Express® Card Members.
- Whenever you need us, we're here. Our Member Services team will ensure you are taken care of. From lost Card replacement to statement questions, we are available to help 24/7.
- No Foreign Transaction Fees.
- Annual Fee is $325.
- Terms Apply.

