American Airlines Capping Fares, Adding Capacity Ahead of Hurricane Maria
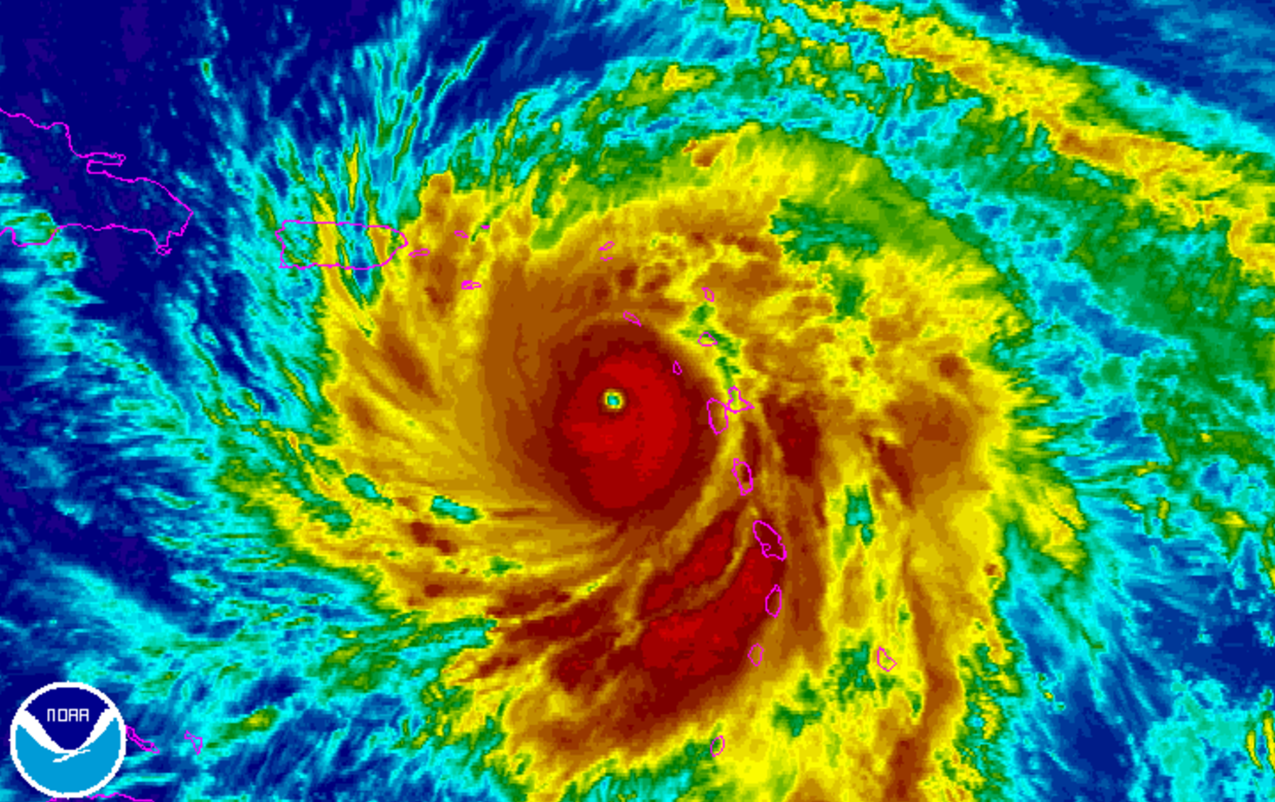
Forming just Saturday morning, Hurricane Maria has rapidly developed from a cluster of storms into a potentially catastrophic Category 5 hurricane with 160 mph top sustained winds. Monday, the storm hit hard the small island of Dominica, leaving "widespread devastation."

Tuesday, the storm is going to graze the Leeward Islands, already battered by Irma two weeks ago; thankfully, the hurricane's powerful core is expected to remain offshore. However, the vicious storm has St. Croix and Puerto Rico in its crosshairs, with landfall expected on Wednesday as a Category 5 hurricane.
Although a storm this far south is typically bad news for Florida, the consensus is that the hurricane will stay offshore from the US mainland, according to a model run on Tuesday morning:

American Airlines' Response
With a hub in Miami (MIA), American Airlines has a significant presence across the Bahamas and Caribbean. Many of its airports are likely to be affected by the storm. Here's how the airline is responding to the threat:
Capping Fares
To help those trying to escape the storm, American Airlines is capping one-way nonstop fares from — and back to — the following airports. The fares will be $99 one-way in Main Cabin and $199 in any premium cabin. The price cap will remain in place through September 24.
- Antigua, Antigua (ANU)
- Cap Haitien, Haiti (CAP)
- Port Au Prince, Haiti (PAP)
- Providenciales, Turks and Caicos Islands (PLS)
- Puerto Plata, Dominican Republic (POP)
- Punta Cana, Dominican Republic (PUJ)
- San Juan, Puerto Rico (SJU)
- Santiago, Dominican Republic (STI)
- Santo Domingo, Dominican Republic (SDQ)
- St. Croix Island, U.S. Virgin Islands (STX)
- St. Kitts, Saint Kitts and Nevis (SKB)
- St. Thomas Island, U.S. Virgin Islands (STT)
Adding Capacity
In addition to capping fares, the airline is adding capacity from San Juan (SJU) to Miami (MIA). The extra SJU flight (AA9240) will depart Tuesday afternoon at 2:40pm local time, operated by a 273-seat Boeing 777-200. A scheduled additional 737-800 flight to/from St. Croix (STX) for Tuesday was cancelled.
Cancelling Flights
As of 8am Tuesday morning, 30 flights have been cancelled for Tuesday and another 30 flights have been cancelled Wednesday. Some of these cancellations are due to lingering effects from Hurricane Irma, which is still impacting AA operations at Key West, Florida (EYW); Santa Clara, Cuba (SNU); St. Maarten, Saint Maarten (SXM) and St. Thomas Island, U.S. Virgin Islands (STT).
Cancellations expected Tuesday-Wednesday at the following airports:

Weather Waivers
American Airlines also has three sets of change fee waivers for Hurricane Maria, in addition to 10 lingering waivers for Hurricane Irma. Basically, if you're flying to/from/through the Caribbean, Bahamas, Cuba, Florida, and even Georgia, Alabama or South Carolina over the next few days, open American Airlines' waiver page and search your origin, connecting and/or destination airport(s) to see if you can change your flights for free.
In addition, the following airlines have also issued change fee waivers for Hurricane Maria: Delta, JetBlue, Southwest, Frontier, Spirit Airlines, United
TPG featured card
at Capital One's secure site
Terms & restrictions apply. See rates & fees.
| 2X miles | 2 miles per dollar on every purchase |
| 5X miles | 5 miles per dollar on flights and vacation rentals booked through Capital One Business Travel |
| 10X miles | 10 miles per dollar on hotels and rental cars booked through Capital One Business Travel |
Pros
- The Capital One Venture X business card has a lucrative welcome offer.
- In addition, the card comes with many premium travel perks such as an annual $300 credit for bookings through Capital One Business Travel.
- Business owners are also able to add employee cards for free.
Cons
- The card requires significant spending to earn the welcome offer.
- Another drawback is that the annual travel credit can only be used on bookings made through Capital One Business Travel.
- Earn 150,000 bonus miles once you spend $30,000 in the first 3 months from account opening
- Earn unlimited 2X miles on every purchase, everywhere—with no limits or category restrictions
- Earn 10X miles on hotels and rental cars and 5X miles on flights and vacation rentals booked through Capital One Business Travel
- With no preset spending limit, enjoy big purchasing power that adapts so you can spend more and earn more rewards
- Empower your teams to make business purchases while earning rewards on their transactions, with free employee and virtual cards. Plus, automatically sync your transaction data with your accounting software and pay your vendors with ease
- Redeem your miles on flights, hotels and more. Plus, transfer your miles to any of the 15+ travel loyalty programs
- Every year, you'll get 10,000 bonus miles after your account anniversary date. Plus, receive an annual $300 credit for bookings made through Capital One Business Travel
- Receive up to a $120 credit for Global Entry or TSA PreCheck®. Enjoy access to 1,300+ airport lounges worldwide, including Capital One Lounge locations and Priority Pass™ lounges, after enrollment
- Enjoy a $100 experience credit and other premium benefits with every hotel and vacation rental booked from the Premier Collection
- This is a pay-in-full card, so your balance is due in full every month
- Top rated mobile app


